Photo’s
{{ product.images.length }}
Floorplan
{{ product.plans.length }}
360° photo’s {{ product.panoramas.length }}
Video’s {{ product.videos.length }}
Maps
All media
House for sale Charles Ruysstraat 12 Roermond
€ {{ product.price.replace(/\B(?=(\d{4})+(?!\d))/g, ".") }} {{ __(product.price_condition) }}
Sold
Description
Karakteristieke, gemoderniseerde stadswoning met een royale aanbouw, stadstuin én vijf slaapkamers op een toplocatie in Roermond. In de geliefde en rustige woonwijk "Eigen Haard", op korte afstand van het centrum van Roermond, het NS-station en diverse voorzieningen, ligt deze compleet gerenoveerde en sfeervolle stadswoning. Deze rijksmonumentale woning dateert uit circa 1924 en is grondig gemoderniseerd met behoud van originele elementen en een hoogwaardige afwerking. De woning is onder andere voorzien van een royale aanbouw met luxe woonkeuken, moderne badkamer, vijf slaapkamers, een fraaie stadstuin op het zuidoosten én vernieuwde hardhouten kozijnen met HR++ beglazing (2022). De afwerking, het wooncomfort en de uitstekende locatie maken dit een uniek en instapklaar object.
Indeling:
Souterrain:
Vanuit de hal is de praktische provisiekelder bereikbaar: ideaal voor als wasruimte, opslag of als extra berging.
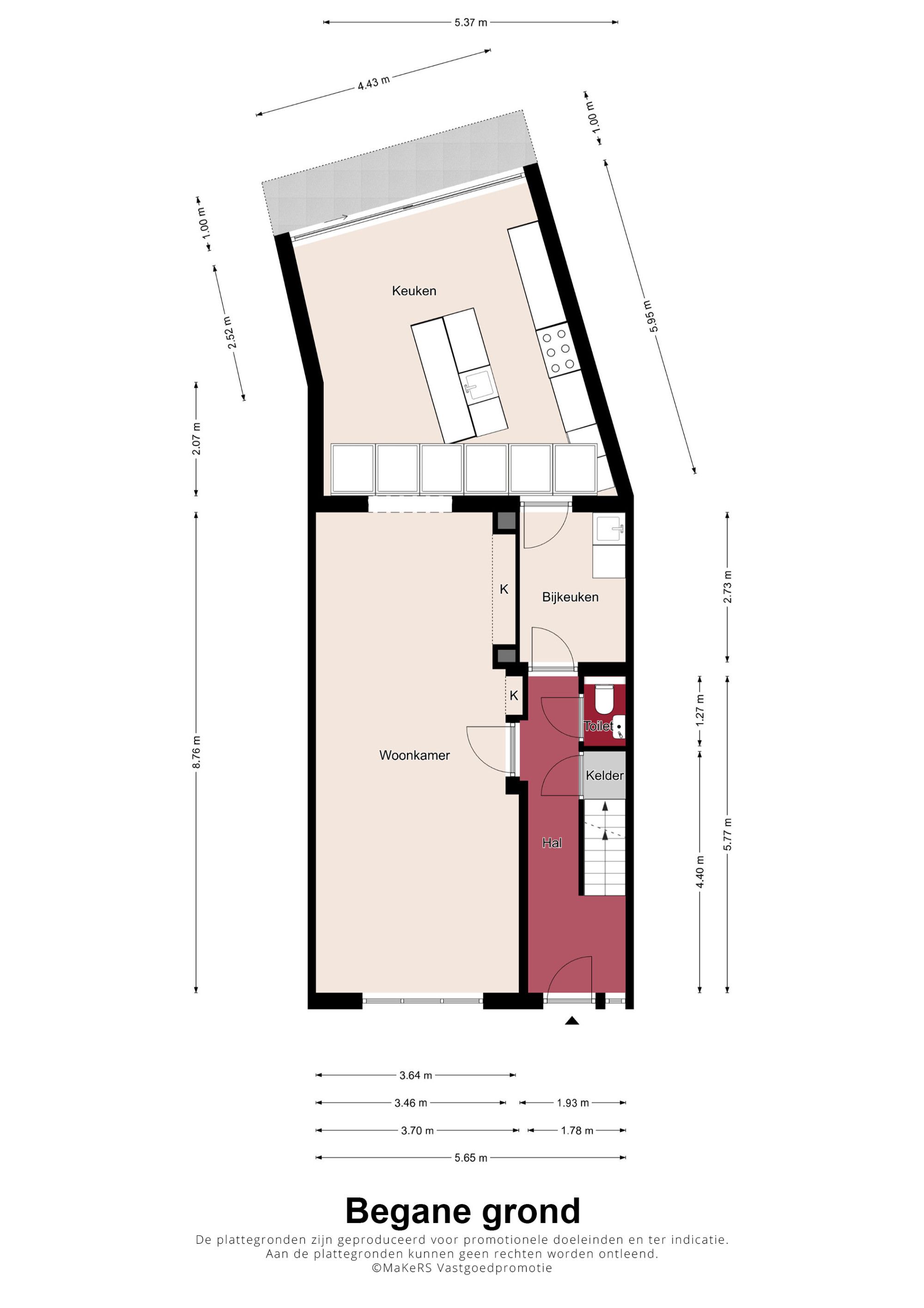
Begane grond:
Via de authentieke voordeur betreedt u de entree/hal met originele trapopgang, meterkast en moderne toiletruimte met toilet en fontein. De sfeervolle living aan de voorzijde beschikt over een prachtige houten vloer en biedt een mooi uitzicht op de rustige straat.
Aan de achterzijde bevindt zich de royale aanbouw met vloerverwarming, uitgevoerd in duurzame aluminium constructie, met een indrukwekkende lichtstraat die oud en nieuw met elkaar verbind. De schuifpui geeft toegang tot de zonnige en diepe achtertuin. In de aanbouw bevindt zich de luxe woonkeuken in 2 delen met een eilandopstelling, uitgerust met hoogwaardige inbouwapparatuur, waaronder een fornuis met dubbele oven, afzuiging, koelkast en vaatwasser. Aansluitend aan de keuken vindt u de praktische bijkeuken, ook bereikbaar vanuit de hal.
Eerste verdieping:
De overloop geeft toegang tot de eerste drie (van 5 ) ruime slaapkamers. De moderne badkamer is royaal opgezet en voorzien van een inloopdouche, ligbad, wastafelmeubel en een tweede zwevend toilet. De slaapkamer aan de achterzijde is voorzien van airconditioning en rolluik.
Tweede verdieping:
Via een vaste trap bereikt u de verrassend ruime tweede verdieping. Deze is volledig afgewerkt, voorzien van dakisolatie en twee extra kamers die perfect dienst kunnen doen als slaapkamer, kantoor of hobbyruimte. Authentieke dakspanten zijn in het zicht gelaten en zorgen voor extra karakter. Dankzij een gevelraam en dakraam is er volop daglicht aanwezig.
Derde verdieping:
Vliering middels vlizotrap als extra bergruimte.
Exterieur:
Uniek op deze locatie is de voor stadsbegrippen diepe achtertuin. Deze achtertuin is gelegen op het zuidoosten en biedt volop privacy. Hier vindt u tevens een tuinhuis/berging en diverse aanplant. De tuin beschikt daarnaast over een gazon en een heerlijk terras, goed voor lange zomeravonden!
Indien gewenst is een nabijgelegen garagebox bespreekbaar.
Bijzonderheden:
Deze fraaie stadswoning is een uitstekend voorbeeld van hoe karakter en modern wooncomfort hand in hand kunnen gaan. De woning met oog voor detail gerenoveerd, waarbij originele elementen als de authentieke trapopgang en zichtbare dakspanten behouden zijn gebleven. Tegelijkertijd zijn alle belangrijke bouwtechnische onderdelen vernieuwd of verbeterd: zo beschikt de woning over volledig vernieuwde hardhouten kozijnen (aanbouw kunststof) met HR++ beglazing, deels dakisolatie, deels muur- en vloerisolatie (aanbouw), een royale aanbouw met lichtstraat én een luxe woonkeuken met vloerverwarming.
Met vijf volwaardige (slaap)kamers (waarvan 1 met airconditioning en een rolluik), een moderne badkamer, een praktische bijkeuken en een zonnige, privacy rijke stadstuin is dit een woning waar u zonder zorgen kunt intrekken. De combinatie van het monumentale karakter, de moderne voorzieningen en de centrale maar rustige ligging maken dit object uniek in zijn soort.
Ligging:
De woning is gelegen in de rustige, populaire wijk "Eigen Haard", een charmante buurt met een dorps karakter en een sterke sociale cohesie. Hier woont u in alle rust, terwijl het bruisende stadscentrum van Roermond zich op slechts enkele minuten loopafstand bevindt. De supermarkt is om de hoek, net als diverse scholen, speelvoorzieningen en het NS-station, wat deze plek bijzonder aantrekkelijk maakt voor gezinnen en forenzen. Daarnaast is de wijk uitstekend bereikbaar met zowel de auto als het openbaar vervoer en zijn er voldoende parkeermogelijkheden direct in de omgeving. Parkeren kan langs de weg met een parkeervergunning van de gemeente. De centrale ligging in Roermond maakt dit een perfecte uitvalsbasis voor wie comfortabel wil wonen met alle stedelijke voorzieningen binnen handbereik.
Kortom: een verrassend ruime en charmante woning die historie en hedendaags comfort perfect combineert.
Interactief:
Kijk ook op onze Homevision site om de plattegronden van de woning te bekijken en interactief in te kunnen richten met uw eigen meubel opstelling.
Indeling:
Souterrain:
Vanuit de hal is de praktische provisiekelder bereikbaar: ideaal voor als wasruimte, opslag of als extra berging.
Begane grond:
Via de authentieke voordeur betreedt u de entree/hal met originele trapopgang, meterkast en moderne toiletruimte met toilet en fontein. De sfeervolle living aan de voorzijde beschikt over een prachtige houten vloer en biedt een mooi uitzicht op de rustige straat.
Aan de achterzijde bevindt zich de royale aanbouw met vloerverwarming, uitgevoerd in duurzame aluminium constructie, met een indrukwekkende lichtstraat die oud en nieuw met elkaar verbind. De schuifpui geeft toegang tot de zonnige en diepe achtertuin. In de aanbouw bevindt zich de luxe woonkeuken in 2 delen met een eilandopstelling, uitgerust met hoogwaardige inbouwapparatuur, waaronder een fornuis met dubbele oven, afzuiging, koelkast en vaatwasser. Aansluitend aan de keuken vindt u de praktische bijkeuken, ook bereikbaar vanuit de hal.
Eerste verdieping:
De overloop geeft toegang tot de eerste drie (van 5 ) ruime slaapkamers. De moderne badkamer is royaal opgezet en voorzien van een inloopdouche, ligbad, wastafelmeubel en een tweede zwevend toilet. De slaapkamer aan de achterzijde is voorzien van airconditioning en rolluik.
Tweede verdieping:
Via een vaste trap bereikt u de verrassend ruime tweede verdieping. Deze is volledig afgewerkt, voorzien van dakisolatie en twee extra kamers die perfect dienst kunnen doen als slaapkamer, kantoor of hobbyruimte. Authentieke dakspanten zijn in het zicht gelaten en zorgen voor extra karakter. Dankzij een gevelraam en dakraam is er volop daglicht aanwezig.
Derde verdieping:
Vliering middels vlizotrap als extra bergruimte.
Exterieur:
Uniek op deze locatie is de voor stadsbegrippen diepe achtertuin. Deze achtertuin is gelegen op het zuidoosten en biedt volop privacy. Hier vindt u tevens een tuinhuis/berging en diverse aanplant. De tuin beschikt daarnaast over een gazon en een heerlijk terras, goed voor lange zomeravonden!
Indien gewenst is een nabijgelegen garagebox bespreekbaar.
Bijzonderheden:
Deze fraaie stadswoning is een uitstekend voorbeeld van hoe karakter en modern wooncomfort hand in hand kunnen gaan. De woning met oog voor detail gerenoveerd, waarbij originele elementen als de authentieke trapopgang en zichtbare dakspanten behouden zijn gebleven. Tegelijkertijd zijn alle belangrijke bouwtechnische onderdelen vernieuwd of verbeterd: zo beschikt de woning over volledig vernieuwde hardhouten kozijnen (aanbouw kunststof) met HR++ beglazing, deels dakisolatie, deels muur- en vloerisolatie (aanbouw), een royale aanbouw met lichtstraat én een luxe woonkeuken met vloerverwarming.
Met vijf volwaardige (slaap)kamers (waarvan 1 met airconditioning en een rolluik), een moderne badkamer, een praktische bijkeuken en een zonnige, privacy rijke stadstuin is dit een woning waar u zonder zorgen kunt intrekken. De combinatie van het monumentale karakter, de moderne voorzieningen en de centrale maar rustige ligging maken dit object uniek in zijn soort.
Ligging:
De woning is gelegen in de rustige, populaire wijk "Eigen Haard", een charmante buurt met een dorps karakter en een sterke sociale cohesie. Hier woont u in alle rust, terwijl het bruisende stadscentrum van Roermond zich op slechts enkele minuten loopafstand bevindt. De supermarkt is om de hoek, net als diverse scholen, speelvoorzieningen en het NS-station, wat deze plek bijzonder aantrekkelijk maakt voor gezinnen en forenzen. Daarnaast is de wijk uitstekend bereikbaar met zowel de auto als het openbaar vervoer en zijn er voldoende parkeermogelijkheden direct in de omgeving. Parkeren kan langs de weg met een parkeervergunning van de gemeente. De centrale ligging in Roermond maakt dit een perfecte uitvalsbasis voor wie comfortabel wil wonen met alle stedelijke voorzieningen binnen handbereik.
Kortom: een verrassend ruime en charmante woning die historie en hedendaags comfort perfect combineert.
Interactief:
Kijk ook op onze Homevision site om de plattegronden van de woning te bekijken en interactief in te kunnen richten met uw eigen meubel opstelling.
+ Read more
- Read less
Construction: {{
product.build_year }}
Construction: {{ product.build_period.start }} -
{{ product.build_period.end }}
House
, Mansion
{{ product.rooms }} rooms
{{ product.bedrooms
}} bedrooms
Living space: {{
product.living_space }} m²
Plot: {{
product.plot_surface }} m²
Energy class: {{ product.energy_class }}
Energy index: {{ product.energy_index }}
Characteristics
{{ field.label }}
{{ field.value }}
+ Read more
{{ field.label }}
{{ field.value }}
- Read less
{{ product.company.name }}
Contact us
{{ product.company.phone.replace('-', ' ').substr(0, 7) }}...
{{ product.company.phone.replace('-', ' ') }}
Share:
Photo’s of Charles Ruysstraat 12 6042 CD Roermond
Date

















































