Available
€ {{ product.price.replace(/\B(?=(\d{4})+(?!\d))/g, ".") }} {{ __(product.price_condition) }}
Photo’s
{{ product.images.length }}
Floorplan
{{ product.plans.length }}
360° photo’s {{ product.panoramas.length }}
Video’s {{ product.videos.length }}
Maps
All media
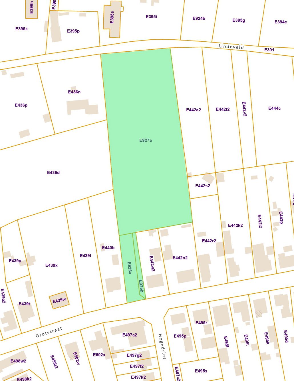
Land for sale Grotstraat 60 Peer
€ {{ product.price.replace(/\B(?=(\d{4})+(?!\d))/g, ".") }} {{ __(product.price_condition) }}
Available
Description
Dit perceel bouwgrond voor open bebouwing is gelegen op een rustige locatie in Linde-Peer.
Een extra troef is het achterliggend perceel landbouwgrond van 1ha 05 26ca.
Bestemming
- Eéngezinswoning met hoofdbestemming wonen (Nevenbestemmingen zijn op het gelijkvloers mogelijk indien ze ondergeschikt zijn aan de woonfunctie.
- Zorgwoningen, zoals omschreven in de Vlaamse Codex ruimtelijke ordening, zijn toegelaten
Inplanting
- Zoals aangeduid op het verkavelingsplan, zijnde min. 8,97 meter achter de rooilijn
- Op min. 3m van de zijdelingse perceelsgrenzen
- Bouwdiepte gelijkvloers: max. 17m
- Bouwdiepte verdieping: max. 12m
- Bouwhoogte: max. 2 bouwlagen onder de kroonlijst
- Nokhoogte: max. 11m t.o.v. het maaiveld
- Dakhelling: vrij
Open carport
- Een open carport in de zijdelingse tuinzone tot op de perceelgrens is toegestaan.
- Bouwhoogte: max. 3m
- Dakvorm: vrijdag
- De carport moet min. 3m terugspringen t.o.v. de aansluitende voorgevel
Vrijstaande bijgebouwen
- Toegestaan achter de hoofdbouw
- Totaaloppervlakte: max. 50m²
- De eventuele vrijstaande gevel op min. 1m van de perceelgrens mits onderling akkoord kunnen de bijgebouwen op minder dan 1m of op de perceelgrens
De volledige verkavelingsvoorschriften en het bijhorende verkavelingsplan kan u downloaden op onze website www.nicolejanssen.be
Een extra troef is het achterliggend perceel landbouwgrond van 1ha 05 26ca.
Bestemming
- Eéngezinswoning met hoofdbestemming wonen (Nevenbestemmingen zijn op het gelijkvloers mogelijk indien ze ondergeschikt zijn aan de woonfunctie.
- Zorgwoningen, zoals omschreven in de Vlaamse Codex ruimtelijke ordening, zijn toegelaten
Inplanting
- Zoals aangeduid op het verkavelingsplan, zijnde min. 8,97 meter achter de rooilijn
- Op min. 3m van de zijdelingse perceelsgrenzen
- Bouwdiepte gelijkvloers: max. 17m
- Bouwdiepte verdieping: max. 12m
- Bouwhoogte: max. 2 bouwlagen onder de kroonlijst
- Nokhoogte: max. 11m t.o.v. het maaiveld
- Dakhelling: vrij
Open carport
- Een open carport in de zijdelingse tuinzone tot op de perceelgrens is toegestaan.
- Bouwhoogte: max. 3m
- Dakvorm: vrijdag
- De carport moet min. 3m terugspringen t.o.v. de aansluitende voorgevel
Vrijstaande bijgebouwen
- Toegestaan achter de hoofdbouw
- Totaaloppervlakte: max. 50m²
- De eventuele vrijstaande gevel op min. 1m van de perceelgrens mits onderling akkoord kunnen de bijgebouwen op minder dan 1m of op de perceelgrens
De volledige verkavelingsvoorschriften en het bijhorende verkavelingsplan kan u downloaden op onze website www.nicolejanssen.be
+ Read more
- Read less
Construction: {{
product.build_year }}
Construction: {{ product.build_period.start }} -
{{ product.build_period.end }}
Land
{{ product.rooms }} rooms
{{ product.bedrooms
}} bedrooms
Living space: {{
product.living_space }} m²
Plot: {{
product.plot_surface }} m²
Energy class: {{ product.energy_class }}
Energy index: {{ product.energy_index }}
Characteristics
{{ field.label }}
{{ field.value }}
+ Read more
{{ field.label }}
{{ field.value }}
- Read less
{{ product.company.name }}
Contact us
{{ product.company.phone.replace('-', ' ').substr(0, 7) }}...
{{ product.company.phone.replace('-', ' ') }}
Share:
Date